El huracán Fiona llegó a República Dominicana y se esperan vientos de hasta 150 km/h
El huracán Fiona, que azota el Caribe desde hace varios días, llegó a República Dominicana después de dejar azolado Puerto Rico donde el 90% de las personas aun continúan sin electricidad producto de las fuertes lluvias, inundaciones y ráfagas de viento.
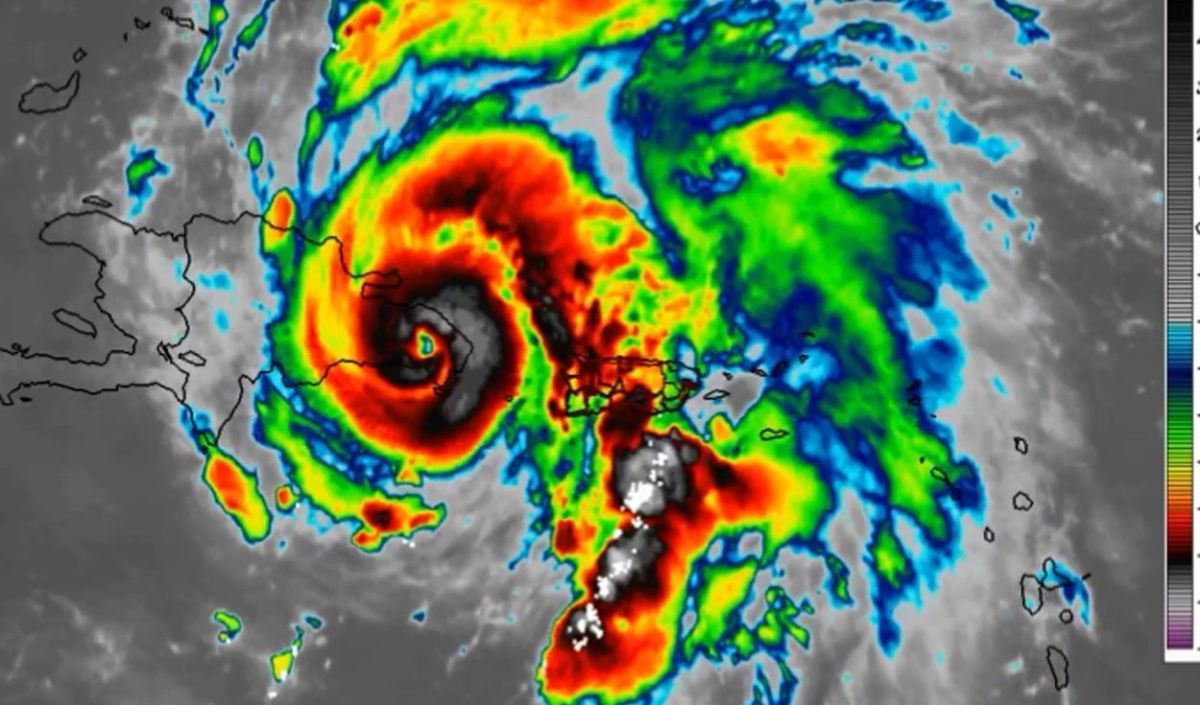
"República Dominicana está siendo azotada por lluvias extremadamente intensas y vientos de hasta 145 kilómetros por hora", informó Eric Blake, del Centro Nacional de Huracanes de Estados Unidos, mientras las condiciones de la tormenta en Puerto Rico comienzan a menguar.
En solo 24 horas, el huracán generó destrozos en gran parte de Puerto Rico y esta imagen recuerda el horror que vivieron hace cinco años con la tormenta María: "Mañana será más seco que hoy, pero hoy será un día largo", dijo Blake, jefe interino de la unidad de especialistas en huracanes del NHC. "Los vientos más fuertes ya están amainando y ya está sobre la República Dominicana".

Las autoridades puertorriqueñas indicaron que la reconstrucción de la electricidad tardará días ya que son alrededor de 3,3 millones de usuarios afectados. Por el desastre provocado el presidente de Estados Unidos, Joe Biden, aprobó este domingo una declaración de emergencia para Puerto Rico, autorizando a la Agencia Federal de Gestión de Emergencias a coordinar la ayuda en caso de desastre y proporcionar protección de emergencia.
Se espera que, luego de tocar tierra en República Dominicana, el huracán avance en las próximas horas hacia otras provincias del país donde podría aumentar su categoría a 2 en vez de 1 como es en estos momentos.

Actualmente hay trece provincias republicanas en nivel rojo y dieciocho en amarillo y por ello se confirmó que este lunes las clases fueron suspendidas y que es un día no laborable.
María, la tormenta de categoría 5 que sacudió la región en 2017, causó la muerte de más de 3.000 personas, dejo sin electricidad a 1,5 millones de clientes y sin servicio 80% de las líneas. Miles de puertorriqueños siguen viviendo bajo techos improvisados de lona. (NA)