Descubren isla submarina con enormes volcanes en el mar de Tasmania

sábado 13 de octubre de 2018
Descubren isla submarina con enormes volcanes en el mar de Tasmania
Descubren isla submarina con enormes volcanes en el mar de Tasmania

Un barco científico australiano estaba realizando una navegación para examinar el comportamiento del fitoplancton, conjunto de organismos exclusivamente vegetales. Investigaban la corriente del este de Australia y su relación con los niveles de nutrientes.

Con este objetivo, el barco Investigator, de la Organización de Estudios Científicos e Industriales de la Mancomunidad (CSIRO por sus siglas en inglés), zarpó del puerto de Hobart, en la isla australiana de Tasmania, el pasado 11 de septiembre.

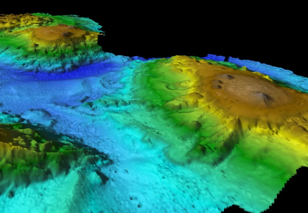
Mientras los científicos escaneaban las profundidades de la zona, sus herramientas de cartografía detectaron unos “espectaculares contornos inexplorados” en el fondo.

Observaron varias cadenas de montañas y mesetas que sobresalían de las profundidades abisales en una región del mar de Tasmania, al parecer un mundo jamás explorado, destacó una nota de Rusia Today.

Se trata de mesetas de hasta 3.000 metros de altura sobre la planicie abisal del fondo marino, cuyas cadenas de montañas y picos volcánicos están relacionadas con la ruptura de Australia con la Antártida, estiman los investigadores.

En ese terreno volcánico que varía en tamaño y forma y no parece una zona de fuentes hidrotermales, las mesetas anchas se avecinan con colinas cónicas más pequeñas.

Ahora los participantes de la expedición se muestran “bastante seguros” de que este paisaje submarino esté relacionado con la separación de los continentes hace aproximadamente 30 millones de años, dijo la geógrafa Tara Martin a ABC News.

“Cuando Australia, la Antártida y Tasmania se partieron, un gran punto caliente apareció por debajo de la corteza terrestre, formó estos volcanes y luego ayudó a que la corteza se rompiera para que todas esas áreas pudieran comenzar a separarse”, explicó Martin.

Un paisaje tan accidentado, con cimas de mesetas en torno a 2.000 metros bajo el nivel del mar, debe soportar “una deslumbrante variedad de vida marina”, afirmó la investigadora.

Los científicos supusieron también que esta zona podría servir como una especie de centro de navegación o punto de referencia para los grandes animales marinos, como ballenas.

A esta idea contribuyeron los numerosos avistamientos producidos durante el viaje de ballenas jorobadas, pilotos y otras y asimismo de aves marinas (cuatro especies de albatros y otras tantas de petreles).

Ya se está programando para el próximo verano austral una expedición adicional destinada a seguir escaneando el relieve submarino y apreciar cómo influye en la biodiversidad de la región.